Contents
富良野の雄大な自然に囲まれた民泊体験
Shikauchi Furano(鹿討富良野)は、かつて鹿が自由に歩き回るほど自然豊かな場所に位置しています。雄大な十勝岳連峰、四季折々の美しい景色、そして澄み切った空気。
この静寂と安らぎに満ちた環境は、都会の喧騒を離れ、心身をリフレッシュしたい宿泊客にとって最高の癒しを提供します。
民泊・別荘向け売地|富良野・鹿討で始める持続可能な土地投資
Shikauchi Furano(鹿討富良野)は、かつて賑わいを見せた中富良野の一角に位置する、静寂と自然が調和する土地です。
この地域は、時を経て豊かな自然環境を取り戻し、今では民泊や別荘開発に適した投資用地として注目されています。
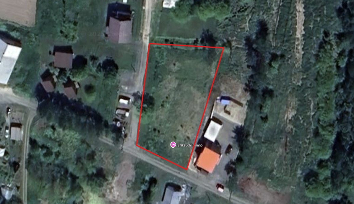
本物件は建物は含まれておらず、ゼロから設計できる自由度の高い売地です。
観光需要の高まる富良野エリアにおいて、民泊運営やセカンドハウスとしての活用に最適なロケーションです。
中富良野・鹿討の静寂に包まれた民泊用売地
Shikauchi Furano(鹿討富良野)のC区画・B区画は、雄大な自然に囲まれた静かな土地。
富良野スキー場や観光地へのアクセスも良好で、民泊や別荘としての開発に適した隠れ家的ロケーションです。
日常の喧騒から離れ、静寂と安らぎを求める旅行者にとって、魅力的な滞在拠点となるポテンシャルを秘めています。
土地購入後は、自由な設計・建築が可能で、事業者・投資家にとって理想的なスタート地点となるでしょう。
民泊投資物件としての魅力 – 安定収入と資産価値
富良野は、国内外から多くの観光客が訪れる人気のエリア。Shikauchi Furano(鹿討富良野)は、民泊投資物件としても大きな魅力を秘めています。
安定した宿泊収入が見込めるだけでなく、将来的な資産価値の向上も期待できます。
土地建物を購入後すぐに民泊運営開始
Shikauchi Furanoでは、全4区画をご用意しております。1区画はモデルハウスとして建築済み、残り3区画は土地購入後にお客様のご希望に合わせた建築プランを設計し、建築を進めていく流れになります。
World Wide Base(ワールドワイドベース)などの民泊管理会社と提携し、運営をサポートいたしますので、未経験の方でも安心です。
中富良野であなただけの民泊投資を
Shikauchi Furano(鹿討富良野)は、あなただけの特別な投資物件となるでしょう。自然と調和した空間で、宿泊客に素敵な体験を提供しませんか?
投資金額は6500万円から1億円まで、区画や建築面積によって異なります。
初めての日本での不動産購入でもご安心ください。税務、法律、司法書士、地域コミュニティなど、様々な面からサポートいたします。
詳細については、お気軽にお問い合わせください。
中富良野 鹿討の区画情報
A:土地面積:192.28 平方米(運営中)
B:土地面積:211.29 平方米
C:土地面積:272.08 平方米
D:土地面積:267.63 平方米
共有所有権:土地面積:454.78 平方米
注意:画像は建築家による住宅の例です。このリストは土地のみです。
サービス
| 価格 | ¥3,800,000 | 寝室 | |
|---|---|---|---|
| 物件面積 | バスルーム | ||
| 土地面積 | 211.29㎡ | 築年数 | |
| 建物構造 | 物件タイプ | 土地 |
動画
MAP
- 住所
- 北海道空知郡中富良野町字中富良野
- エリア
- 北海道 / 富良野エリア / 中富良野
